マリオブラザーズ!?
- 天候 :
- 曇りのち晴れ
- 透明度 :
- 7~12m
- 水温 :
- 19~20℃
COMMENT
今日は朝方は曇り空が広がっていましたが、潜るころから日差しがではじめ、現在は晴れ間が広がっています!
そんな川奈です
海は冷たい潮が入っていますが、少し上に行けば、あったかい層があるので、問題なし!
そして冷たい潮の影響で、透明度は10~12mの場所もあり、快適にダイビングが楽しめます♪
生物が見える、見える(笑)
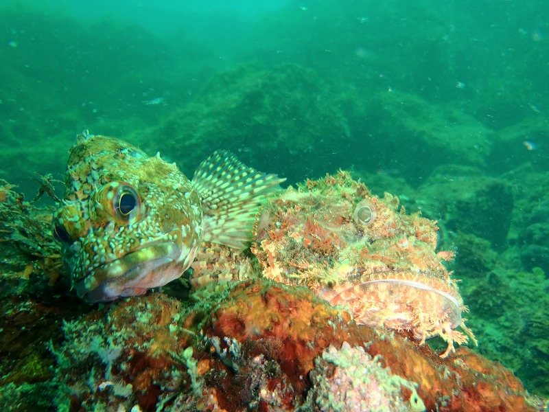
そんな中、鬼頭さんチームが見つけてきたのは、カサゴとオニカサゴ・・・
いたって普通の生物ですね・・・
しかし、このカサゴ&オニカサゴちょっとおもしろい!!
それはなぜか・・・
トップの写真を見ていただいたら、わかるように2匹一緒なんです!!めずらしい♪
そしてこのどや顔(笑)
まさにマリオとルイ-ジです!
これから冒険にでもいくんですかね~?(笑)
こんな感じで普段見れるものでもちょっと変わったことしてたりすると
つい写真撮りたくなりますね~!皆さんもスルーせず、注意深く見るとまた違った楽しみができるかもです!
その他にもレアなカニ・ソバガラガニやノウメア・ワレリンス(ウミウシ)
お腹の膨れたアナハゼやちっちゃいカサゴ(1.5cmぐらい)などなど
今日も楽しい海でした♪
従来見れているベニカエルアンコウ・アオウミガメ・アオリイカのタマゴ
ハナハゼ・ダテハゼ・ハナオトメウミウシもいま~す!!
ぜひ、遊びにきてくださいね♪
byすぎちゃん
photo by山村様
そんな川奈です
海は冷たい潮が入っていますが、少し上に行けば、あったかい層があるので、問題なし!
そして冷たい潮の影響で、透明度は10~12mの場所もあり、快適にダイビングが楽しめます♪
生物が見える、見える(笑)
そんな中、鬼頭さんチームが見つけてきたのは、カサゴとオニカサゴ・・・
いたって普通の生物ですね・・・
しかし、このカサゴ&オニカサゴちょっとおもしろい!!
それはなぜか・・・
トップの写真を見ていただいたら、わかるように2匹一緒なんです!!めずらしい♪
そしてこのどや顔(笑)
まさにマリオとルイ-ジです!
これから冒険にでもいくんですかね~?(笑)
こんな感じで普段見れるものでもちょっと変わったことしてたりすると
つい写真撮りたくなりますね~!皆さんもスルーせず、注意深く見るとまた違った楽しみができるかもです!
その他にもレアなカニ・ソバガラガニやノウメア・ワレリンス(ウミウシ)
お腹の膨れたアナハゼやちっちゃいカサゴ(1.5cmぐらい)などなど
今日も楽しい海でした♪
従来見れているベニカエルアンコウ・アオウミガメ・アオリイカのタマゴ
ハナハゼ・ダテハゼ・ハナオトメウミウシもいま~す!!
ぜひ、遊びにきてくださいね♪
byすぎちゃん
photo by山村様
NEXT POST
PREV POST




