按針祭!暑いね♪photobyレナナニさん
COMMENT
天候 快晴 透明度 8m~10m 水温23~26℃
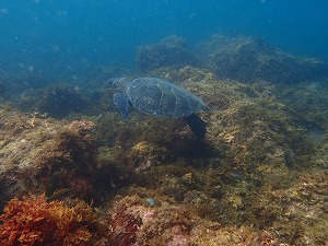
暑すぎて、溶けそうです。みなさん元気ですか?大丈夫ですか?水温も暖かいところでは26度水面近くは27度あります!快適すぎて困ります。なんか上がってきてから、さっぱりしたって感じではなくすぐに暑い、もう入りたくなる・・・の繰り返しです。ダイビングでクールダウンできてよかったです。はい。今日は伊東のお祭りということで、道路が大渋滞・・・。12時近くに到着された方がいらっしゃいました。お盆の時期は本当に時間が読めませんね。でもエキジットが16:30なので2本楽勝です!みなさんあわてずに事故らずにお越しくださいね。ビーチでは、ウミガメの2匹も元気です。午後にはゲストのみなさんの前をスイー♪見ててこちらも気持ち良いです。セルフチームもベニカエルGET、他にもGETで今日は3匹みれました。シコクスズメダイygがとても多くなってます。季節来遊魚が増えてきてますね。楽しみ~楽しみ~!!砂地にはアマダイのygと思われる子!オドリカクレエビチョーーベイビーーがみれました。明日はがっつりボート・ビーチを楽しんできますねーーー。さーさーみなさん!一緒にもぐりましょう!!
お知らせ
8月15日(木)川奈花火大会が開催されます。ジェスターの目の前で打ち上げられる花火はまさに圧巻!音、光、共に大迫力です。この日の夜はスーパーBBQ大会。海の幸もご用意いたします。是非遊びにいらしてくださいね〜
暑すぎて、溶けそうです。みなさん元気ですか?大丈夫ですか?水温も暖かいところでは26度水面近くは27度あります!快適すぎて困ります。なんか上がってきてから、さっぱりしたって感じではなくすぐに暑い、もう入りたくなる・・・の繰り返しです。ダイビングでクールダウンできてよかったです。はい。今日は伊東のお祭りということで、道路が大渋滞・・・。12時近くに到着された方がいらっしゃいました。お盆の時期は本当に時間が読めませんね。でもエキジットが16:30なので2本楽勝です!みなさんあわてずに事故らずにお越しくださいね。ビーチでは、ウミガメの2匹も元気です。午後にはゲストのみなさんの前をスイー♪見ててこちらも気持ち良いです。セルフチームもベニカエルGET、他にもGETで今日は3匹みれました。シコクスズメダイygがとても多くなってます。季節来遊魚が増えてきてますね。楽しみ~楽しみ~!!砂地にはアマダイのygと思われる子!オドリカクレエビチョーーベイビーーがみれました。明日はがっつりボート・ビーチを楽しんできますねーーー。さーさーみなさん!一緒にもぐりましょう!!
お知らせ
8月15日(木)川奈花火大会が開催されます。ジェスターの目の前で打ち上げられる花火はまさに圧巻!音、光、共に大迫力です。この日の夜はスーパーBBQ大会。海の幸もご用意いたします。是非遊びにいらしてくださいね〜
NEXT POST
PREV POST


